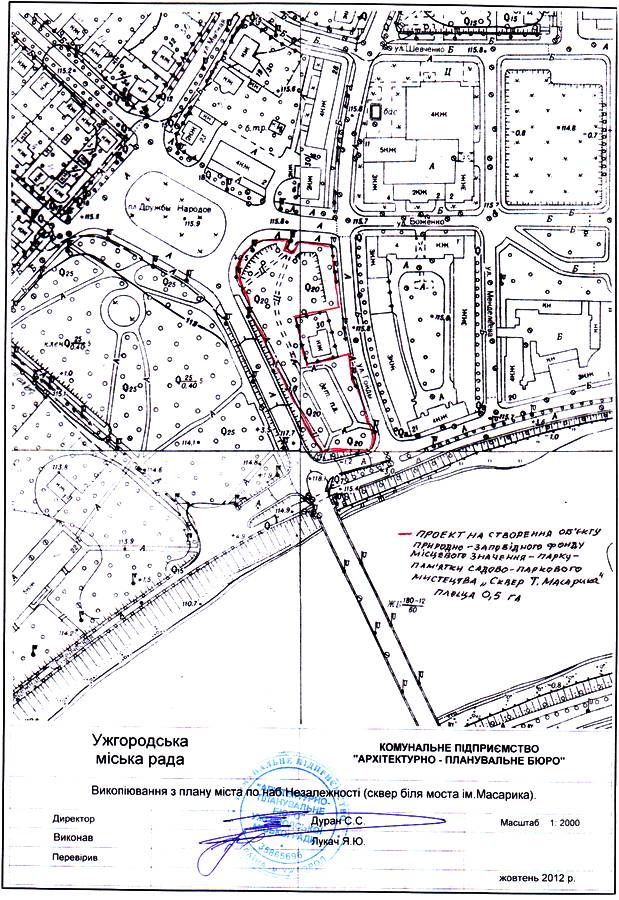
Сквер Т.Масарика
Парк-пам’ятка садово-паркового мистецтва місцевого значення



Площа
0,57
Район
Ужгородський
Розташування
м. Ужгород, наб.Незалежності, сквер біля моста ім.Т.Масарика
Приналежність
Ужгородська міська рада
Законодавство
Ріш. облради від 16.11.2012 р. № 554
Охороняються
насадження дерев і кущів для естетичних, рекреаційних, і освітньо-виховних цілей

Фотогалерея

Сквер Т.Масарика. Фото: О.Цапулич.
Сквер Т.Масарика. Фото: О.Цапулич.
Сквер Т.Масарика. Фото: О.Цапулич.
Сквер Т.Масарика. Фото: О.Цапулич.